Contact Agent

Contact JA McClelland Estate Agents

Contact JA McClelland Estate Agents

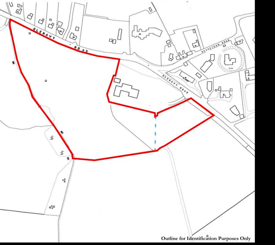
Agricultural Land

Glenavy Road

Lisburn Area, Lisburn, BT28 3UP

asking price £275,000
  • Status For Sale
  • Property Type Agricultural Land
  • Stamp Duty
    Higher amount applies when purchasing as buy to let or as an additional property
    £3,750 / £17,500*
  • Typical Mortgage
    Click price to use our mortgage calculator

Key Features & Description

CIRCA. 10 ACRES OF DESIREABLE AGRICULTURAL LAND WITH POSSIBLE FUTURE DEVELOPMENT POTENTIAL
Description

A desirable parcel of land with extensive frontage onto Glenavy Road with access directly off same. Fields are under grass at present and in good heart, with a natural water supply.

 

The land is in close proximity to the current settlement development limit and may offer development potential in the future subject to obtaining the necessary planning consents.

Property Location

Show Map

Mortgage Calculator

Disclaimer: The following calculations act as a guide only, and are based on a typical repayment mortgage model. Financial decisions should not be made based on these calculations and accuracy is not guaranteed. Always seek professional advice before making any financial decisions.

Directions

The land is situated c. 2.5 miles north west of Lisburn City Centre. Glenavy Road is a popular residential area with a number of new developments underway and recently completed.

Contact Agent

Contact JA McClelland Estate Agents

Contact JA McClelland Estate Agents

Request More Information
Requesting Info about...
Glenavy Road, Lisburn Area, Lisburn, BT28 3UP Glenavy Road, Lisburn Area, Lisburn, BT28 3UP

By registering your interest, you acknowledge our Privacy Policy