Contact Agent

Contact Templeton Robinson (Lisburn)

Contact Templeton Robinson (Lisburn)

Site

Site @ 31 Bridge Road

Moira, Craigavon, BT67 0PG

offers around £250,000
  • Status For Sale
  • Property Type Site
  • Heating None
  • Stamp Duty
    Higher amount applies when purchasing as buy to let or as an additional property
    £2,500 / £15,000*
  • Typical Mortgage
    Click price to use our mortgage calculator

Key Features & Description

Site with Lapsed Planning Permission Positioned Beside St Colemans Primary School, Moira
Site Bounded with Extensive Hedging and Comprising of a Detached Cottage with Good Road Frontage
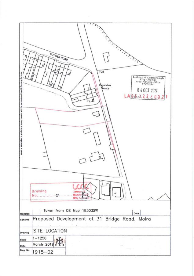
Previous Planning References: S/2006/1589/O (2008) & LA05/2022/0921/F (2022)
Previous Proposal for Erection of 4 x Semi Detached and 1 x Detached Dwelling
Mains Water and Electric Available
Site Circa 1/3 of an Acre in a Private Position
Ideally Positioned Between Royal Hillsborough and Moira
Site Outlines and Previous Plans are for Reference Only, Prospective Purchasers Must Satisfy Themselves in Respect to Future Planning and Development Potential
Viewing Directly at the Site
Unit Pricing and Enquiries Through the Lisburn Office on 02892 661 700
Description
This site, ideally positioned between Moira and Royal Hillsborough, presents an excellent opportunity for a developer to reapply for planning and acquire a desirable site in a sought after location. Although planning has now lapsed, there is excellent opening for this to be regained and for multiple dwellings to be constructed in an area of high demand...

Set on approximately 1/3 of an acre, the site has good topography and is bounded by mature hedging. There is currently a vacant dwelling to the front of the site that would require demolition but provides good road frontage with private views across rolling countryside...

Previous Planning references:
S/2006/1589/O - 2008.
LA05/2022/0921/F - 2022.

No guarantees are given in relation to planning being granted again for this site. All potential buyers must satisfy themselves in relation to future planning consents.

Early enquiries are highly recommended. Viewings directly at the site.

Broadband Speed Availability

Ultrafast

Potential Speeds for Site @ 31 Bridge Road

Max Download
1800
Mbps
Max Upload
1000
Mbps
The speeds indicated represent the maximum estimated fixed-line speeds as predicted by Ofcom. Please note that these are estimates, and actual service availability and speeds may differ.

Property Location

Show Map

Mortgage Calculator

Disclaimer: The following calculations act as a guide only, and are based on a typical repayment mortgage model. Financial decisions should not be made based on these calculations and accuracy is not guaranteed. Always seek professional advice before making any financial decisions.

Directions

The site is @ 31 Bridge Road, Moira, at the junction with Laganview Terrace.

Contact Agent

Contact Templeton Robinson (Lisburn)

Contact Templeton Robinson (Lisburn)

Request More Information
Requesting Info about...
Site @ 31 Bridge Road, Moira, Craigavon, BT67 0PG Site @ 31 Bridge Road, Moira, Craigavon, BT67 0PG

By registering your interest, you acknowledge our Privacy Policy